0 Barstow-Bakersfield HighwayHinkley, CA 92347

Mortgage Calculator
Monthly Payment (Est.)
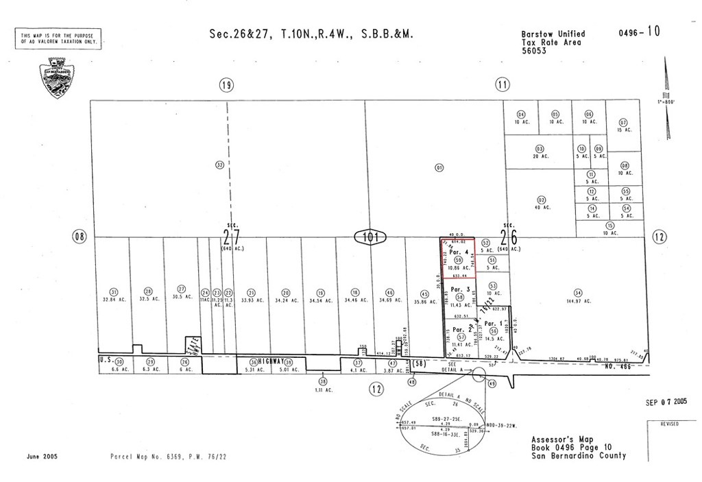
$109This 10.86-acre parcel on the Barstow-Bakersfield Highway in Hinkley provides a fantastic opportunity for those seeking wide-open land in San Bernardino County. Connected to APN 0496-101-58-0000, which neighbors a parcel with direct highway access (APN 0496-101-57-0000), this lot offers excellent potential for development or investment as part of a larger acquisition. Accessible via a dirt road, this property is one of four adjacent parcels available separately, providing flexibility to expand your holdings. Buyers should verify utilities and land use possibilities to take full advantage of this property’s potential. Parcel No. 0496-101-59-0000, GPS: 34.92802, -117.27125.
| 13 hours ago | Listing first seen on site | |
| 13 hours ago | Listing updated with changes from the MLS® |
This information is for your personal, non-commercial use and may not be used for any purpose other than to identify prospective properties you may be interested in purchasing. The display of MLS data is usually deemed reliable but is NOT guaranteed accurate by the MLS. Buyers are responsible for verifying the accuracy of all information and should investigate the data themselves or retain appropriate professionals. Information from sources other than the Listing Agent may have been included in the MLS data. Unless otherwise specified in writing, the Broker/Agent has not and will not verify any information obtained from other sources. The Broker/Agent providing the information contained herein may or may not have been the Listing and/or Selling Agent.
Did you know? You can invite friends and family to your search. They can join your search, rate and discuss listings with you.