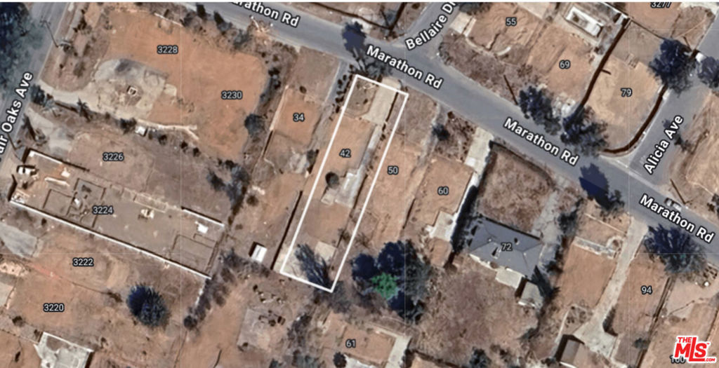
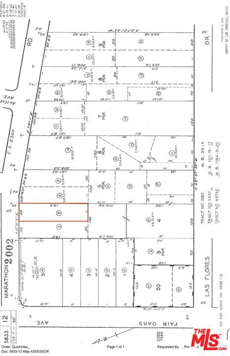
42 Marathon RoadAltadena, CA 91001



Mortgage Calculator
Monthly Payment (Est.)
$3,148Set along a quiet, established street in the foothills of Altadena, this approximately 9,700 sq ft lot presents a rare opportunity to rebuild in one of the area's most character-rich neighborhoods.The site offers a level, rectangular footprint. This property now stands as a blank canvasoffering buyers the chance to design and build a modern home tailored to today's lifestyle while contributing to the thoughtful revitalization of this beloved community. Located just minutes from the Altadena foothills and with easy access to Pasadena, the property benefits from a setting known for its natural beauty and proximity to hiking trails and local amenities. The lot's zoning (LCR175) supports residential development, and like many properties in the area, may offer potential for expanded square footage, ADU configuration, or a contemporary reimagining of the original footprint (buyer to verify). Prior to the fire there were three structures on the property with water running to the main house and guest house. Phase 1 and 2 clearance completed.
| yesterday | Listing updated with changes from the MLS® | |
| yesterday | Listing first seen on site |
Based on information from the The MLS as of 2026-04-25 02:27 PM UTC. All data, including all measurements and calculations of area, is obtained from various sources and has not been, and will not be, verified by broker or MLS. All information should be independently reviewed and verified for accuracy. Properties may or may not be listed by the office/agent presenting the information.
Did you know? You can invite friends and family to your search. They can join your search, rate and discuss listings with you.