52841 Date AvenueCabazon, CA 92230


Mortgage Calculator
Monthly Payment (Est.)
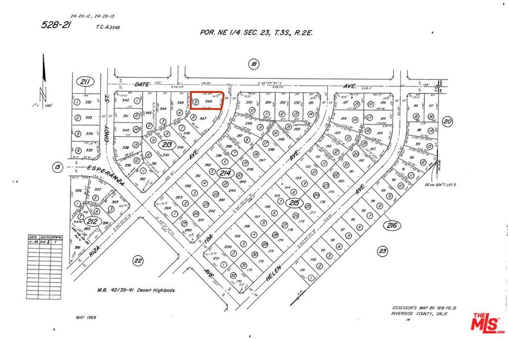
$224APN 528-213-005. Great opportunity to build your dream home in the growing Cabazon area! This appx 6,970 SF lot, zoned W-2-M, offers beautiful views of the San Jacinto mountains and is well positioned for future development or long-term investment. There are no utilities currently on the lot. The property is conveniently located near the 10 Freeway, Morongo Casino Resort & Spa, Cabazon Outlet Stores, and more, and is just a short drive to Palm Springs.
| yesterday | Listing updated with changes from the MLS® | |
| yesterday | Listing first seen on site |
Based on information from the The MLS as of 2025-11-16 11:56 AM UTC. All data, including all measurements and calculations of area, is obtained from various sources and has not been, and will not be, verified by broker or MLS. All information should be independently reviewed and verified for accuracy. Properties may or may not be listed by the office/agent presenting the information.
Did you know? You can invite friends and family to your search. They can join your search, rate and discuss listings with you.