3587 E Thorpe AvenueLos Angeles, CA 90065


Mortgage Calculator
Monthly Payment (Est.)
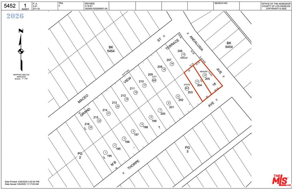
$205APN: 5452-001-011 & 012-- TWO LOTS SOLD AS ONE. Approx 9,587 SF. Zoning LARE20. Build your dream home in the heart of Mount Washington, one of the most desirable neighborhoods in Los Angeles. This unique opportunity offers two side by side lots with breathtaking city and hill views, perfect for designing a serene hillside retreat. Nestled on a paper street, buyers will need to pave the remaining road from either Thorpe Avenue, Andalusia Ave or Camino Real to Andalusia Ave to the lot, creating their own custom path to this scenic location. The property provides the potential for exclusivity and privacy, with the added charm of a tranquil natural setting. Don't miss this chance to create your ideal home in a coveted area known for its artistic community, excellent schools, and proximity to all that Los Angeles has to offer.
| 4 hours ago | Listing updated with changes from the MLS® | |
| 11 hours ago | Listing first seen on site |
Based on information from the The MLS as of 2025-10-24 10:30 PM UTC. All data, including all measurements and calculations of area, is obtained from various sources and has not been, and will not be, verified by broker or MLS. All information should be independently reviewed and verified for accuracy. Properties may or may not be listed by the office/agent presenting the information.
Did you know? You can invite friends and family to your search. They can join your search, rate and discuss listings with you.